膜生物反應器(membrane bioreactor, MBR)是一種由膜技術代替傳統活性污泥處理法中的沉降環節從而完成固液分離的新型高效廢水處理工藝。同時具有出水水質好、污泥產量低、運行維護簡單和占地面積小等不同于傳統處理系統的特性。高效降解分離的特點使得MBR 在得到越來越多研究者青睞的同時MBR 系統普遍存在的能耗高、膜易堵塞且使用壽命短等缺點卻極大的影響并制約了其在實際廢水處理中的進一步推廣和應用。追本溯源,進水中的污染成分及其與膜接觸時發生了一系列物化作用,隨系統的運行,膜滲透通量逐漸下降且過膜壓力提高,膜污染由此形成。
在諸多影響膜污染的因素中,由微生物細胞和微生物代謝產物構成的污泥混合液的性質對膜污染的形成有很大關系 。諸多研究表明,在MBR 處理廢水的過程中,微生物降解基質和內源呼吸過程中產生的溶解性微生物產物(soluble microbial product, SMP)會被膜截留且逐漸積累,因此,對以SMP 為代表的微生物產物的特性解析成為研究膜污染問題的重中之重。
鹽度高于1% 的廢水被定義為含鹽廢水,含鹽廢水的處理通常分為物理化學法及生物法,相較于前者,生物法更經濟有效。隨著MBR 工藝的迅速發展,除了將其應用于處理市政廢水,也被用來處理高鹽廢水。研究表明 ,鹽度在0. 9 ~ 1. 3 g·L - 1 之間的廢水經膜處理后化學需氧量(COD)可被去除90% ,氨氮的去除率則達到95% 。然而,高鹽廢水可能會抑制微生物活性并改變其表面電荷、疏水性、濾過性和絮凝性等,進而影響活性污泥的理化性質 。PENDASHTEH 等[18] 發現,在水力停留時間(HRT)為48 h 總可溶顆粒物(TDS)為35. 0 g·L - 1 時,序批式膜生物反應器對COD 負荷量為1. 12 kg COD·(m3 ·d) - 1 的高鹽廢水的COD 去除率為86. 2% 。目前,諸多研究都對MBR 處理含鹽廢水的情況做了較為有意義的闡述,但對MBR 處理高鹽廢水造成的膜污染及污染物特性的解析等問題的探討仍顯不足。
本實驗將生物接觸氧化法(biological contact oxidation reactor, BCOR)與MBR 結合,并設置對照組,利用生物接觸氧化池內填料比表面積較大特點,使微生物盡量多的附著在填料表面,形成生物膜,在有氧條件下,污水與填料表面的微生物充分接觸,而生物膜內層供氧不足甚至處于厭氧狀態,這樣在生物膜中形成了由厭氧菌、兼性菌和好氧菌構成的生物群落,豐富的微生物群落可以進行較完整的硝化反硝化作用,能夠彌補好氧體系脫氮除磷不完全的缺陷。三維熒光光譜(three-dimensional excitation emission matrix fluorescencespectroscopy, 3DEEM)技術在特定波長下的激發光照射分子可以發出特征發射光,獲取激發波長(λex )和發射波長(λem ) 同時變化時的熒光強度信息,并能夠識別和表征復雜有機物的物質組成與特征 ,本實驗將BCOR 與MBR 兩工藝耦合處理含鹽廢水,與BCOR 聯合的MBR 中污泥混合液的SMP 特性必然會發生變化,SMP 特性的變化會引起MBR 膜污染情況的變化,利用三維熒光光譜對MBR 上清液SMP 及出水的特性進行表征,從而研究在處理不同鹽度污水過程中與BCOR 聯合的MBR 內微生物產物特性,解析BCOR 與MBR 聯合系統膜污染變化的原因,為膜污染控制提供新思路。
1. 1 實驗裝置及運行參數
實驗裝置如圖1 所示,以兩套結構組成、大小及運行條件完全相同的一體式MBR(分別記為MBR-1與MBR-2)為含鹽廢水處理的主體工藝。一套為不與BCOR 工藝相連的傳統MBR-1,作為對照系統;一套為BCOR 與MBR-2 聯合的BCOR-MBR 反應器。兩個MBR 有效容積均為11 L,內置大小為30 cm ×25 cm × 5 cm 的膜組件,膜孔徑為0. 03 μm,膜面積為0. 2 m2 。

實驗所用活性污泥來自威海市第三污水處理廠的二沉池回流污泥,所用廢水為模擬含鹽廢水,通過添加海水調整含鹽量為0、3、9、18 和30 g·L - 1 ,主要成分為可溶性淀粉、NH4 Cl、KH2 PO4 、K2 HPO4 以及NaHCO3 。反應器都在常溫條件下運行,pH 值為6. 5 ~ 7. 5,污泥停留時間(SRT)保持在220 d 左右,水力停留時間(HRT)設置在8 h。各個反應器底部設2 組微孔曝氣器,在運行期間進行連續曝氣。膜生物反應器中液面由液位繼電器保持恒定,其內污泥混合液在蠕動泵的抽吸作用下經膜過濾出水,蠕動泵由時間繼電器控制并采用8 min 開、2 min 停的間歇運行方式。通過真空壓力表反映膜組件污染情況,當膜過濾壓差達到30 KPa 時,將膜組件取出清洗。
1. 2 SMP 的提取方法
在調整鹽度變化的過程中,每階段的運行時間約為10 d,每天分別從MBR-1 與MBR-2 的膜生物反應器中各取50 mL 污泥混合液,在4 000 r·min - 1 的條件下離心5 min,取上清液經0. 45 μm 的濾膜過濾,所得即為兩系統的溶解性微生物產物(SMP)。
1. 3 三維熒光光譜分析
三維熒光光譜能夠獲得激發波長和發射波長同時變化時的熒光強度信息,在光譜圖中,不同的溶解性有機質具有不同的熒光基團,并且熒光峰的位置和強度也不盡相同。本實驗采用F-2700 型熒光光譜儀(日本日立公司)對提取的SMP 進行三維熒光掃描,激發光波長范圍為220 ~ 450 nm(步長10 nm),發射光為220 ~ 600 nm(步長10 nm),激發和發射狹縫寬度為5 nm。所得結果利用Orign 軟件進行數據分析,所有的三維熒光光譜分析都重復測量3 次。
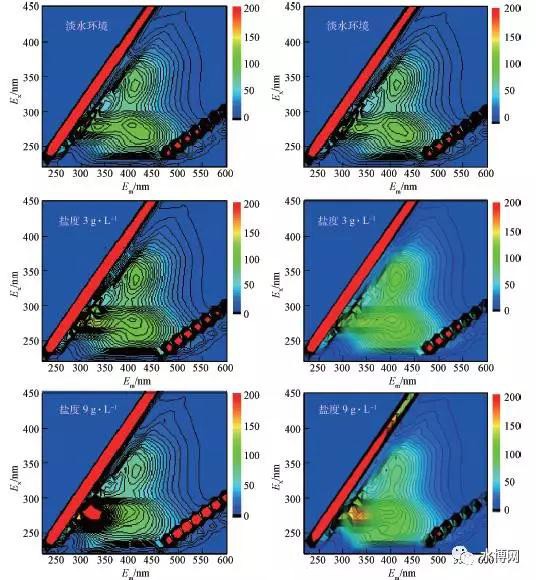
2. 1 不同鹽度下MBR-1 上清液SMP 與出水的3DEEM
通過觀察發現,BCOR-MBR 工藝的過膜壓力上升速率為0. 767 6 kPa·d - 1 ,低于對照組(0. 872 8kPa·d - 1 )。BCOR-MBR 組合工藝的出水TOC 濃度均低于對照MBR,組合工藝與對照組的TOC 平均去除率為分別為92. 69% 、88. 72% 。
不同鹽度下MBR-1 中上清液SMP 與出水的三維熒光光譜圖如圖2 中所示。各組光譜圖形狀相似,均含3 個主要特征峰,各個特征峰的主要位置列于表1。結合前人對三維熒光光譜圖五個區域的總結 ,其中,A 峰與C 峰中心位置(λex / λem ) 均位于250 ~ 380 /380 ~ 540 nm,屬于類腐殖酸物質。B 峰中心位置(λex / λem )位于250 ~ 335 /280 ~ 380 nm,屬于類溶解性微生物副產物,為色氨酸類物質。作為對照組的MBR-1 系統在鹽度逐漸升高的過程中,3 個熒光峰強度與位置均發生不同程度的改變。其中,代表類腐殖酸類物質的A 峰與C 峰先隨著鹽度的提高熒光強度顯著增強,在鹽度為9 ~ 18 g·L - 1 范圍內,兩峰強度達到最大,后隨著鹽度繼續提高而變弱。代表色氨酸類物質的B 峰在鹽度為18 ~ 30g·L - 1 之間熒光強度最大,且發生藍移。


推測鹽度的提高使得微生物細胞內某些大分子蛋白等參與調滲作用的物質產出增多,從而調節內外滲透壓來保障自身的繁殖,在更高的鹽度條件下(18 ~ 30 g·L - 1 ),鹽度對微生物生長的抑制作用增強,高鹽環境造成的高滲透壓使細胞脫水進而原生質流失,且高濃度的氯離子對微生物具一定的毒害作用。故而系統中類腐殖酸類物質隨著鹽度繼續上升特征峰強度下降,微生物產物生產量減少,經過馴化的耐鹽優勢菌種得以繼續繁殖。
對比MBR-1 的出水與污泥上清液中SMP 的三維熒光光譜發現,在無海水投加環境下,出水中代表類腐殖酸的C 峰發生藍移,且出水中色氨酸熒光強度增強,其他各鹽度下3 個熒光峰均不同程度減弱。根據已有的研究得出,熒光峰的藍移可能是由π 電子體系的變化(如芳香環的減少、共軛鍵和脂肪鏈的斷裂等),有機結構中羰基、羥基和胺基等官能團的消減等現象引起的。據此推測,MBR 對類腐殖酸類物質有一定的攔截作用,并會將較復雜的芳香環等體系裂解并使較大粒徑的有機物顆粒破碎成較小的碎片。
2. 2 不同鹽度下MBR-2 上清液SMP 與出水的3DEEM
不同鹽度下MBR-2 上清液SMP 和出水的三維熒光光譜圖如圖3 所示。各組光譜圖中均含上述3 個主要特征峰,當鹽度提高至30 g·L - 1 時,MBR-2 的出水中出現第4 個熒光峰D,其中心位置(λex / λem )位于200 ~ 275 /335 ~ 380 nm,屬于色氨酸類蛋白質。鹽度在3 ~ 9 g·L - 1 范圍時,MBR-2 上清液SMP 中色氨酸濃度驟升,類腐殖酸物質熒光強度略有減弱并伴隨著C 峰出現較大藍移,隨著鹽度的繼續提高,三峰強度均有所減弱。在MBR-2 出水熒光光譜圖中,同樣在鹽度9 g·L - 1 附近時,色氨酸熒光強度達到最大,類腐殖酸物質熒光峰強度則隨著鹽度的升高而減弱。分析其可能原因,鹽度的提高使得微生物細胞內生成很多參與調滲作用的大分子蛋白,而MBR-2 系統中部分微生物分泌物會先一步粘附在BCOR 的填料上,由于生物接觸氧化池中生物種類豐富,復雜的大分子有機物經過生物膜的層層分解吸收逐漸被轉化為更為簡單的構型。


對比MBR-2 的出水與污泥上清液中SMP 的三維熒光光譜,可見不同鹽度條件下經過MBR 處理后3個熒光峰強度均有不同程度的減弱,說明MBR 對三類熒光物質均有攔截,在鹽度為30 g·L - 1 時,MBR-2系統出水中出現色氨酸類蛋白質特征峰且表征類腐殖酸物質的C 峰出現較大藍移,推測過高的鹽度造成部分細胞破裂,溶出的細胞質與經過膜過濾而斷裂的特定基團結合進而生成芳香族蛋白質。
2. 3 不同鹽度下SMP 與出水三維熒光圖熒光特性
MBR-1 與MBR-2 在不同鹽度下上清液SMP 和出水熒光特性列于表1。無海水投加時作為對照組的MBR-1 中污泥上清液SMP 與出水相比類腐殖酸峰發生藍移伴隨著出水中色氨酸強度增強,即膜生物反應器會使較大的有機物顆粒破碎成較小的碎片,而MBR-2 因耦合了生物接觸氧化池,復雜的芳香族化合物與大顆粒有機物已被先一步分解,進而其出水與污泥上清液中SMP 熒光性質無明顯區別。
MBR-1 與MBR-2 中SMP 與出水熒光特性

在鹽度為3 ~ 9 g·L - 1 范圍內,對照組MBR-1 上清液SMP 中類腐殖酸物質累積,組合工藝MBR-2 中色氨酸濃度驟升且類腐殖酸物質峰藍移。鹽度一定范圍內的上升使微生物細胞內調節機制啟動,參與調滲作用的某些大分子蛋白等產出增多,而MBR-2 系統中部分微生物分泌物會先被生物接觸氧化池填料截留并經過生物膜的分解吸收而轉化為較簡單的構型。
在鹽度為18 ~ 30 g·L - 1 范圍時,鹽度的微生物毒害作用增強,微生物細胞發生脫水甚至破裂,兩系統中SMP 均隨著鹽度繼續上升特征峰強度下降,微生物產物生產量減少。在鹽度為30 g·L - 1 時,MBR-2 系統出水中類腐殖酸物質峰藍移,出現的色氨酸類蛋白質特征峰則可能是高鹽環境下微生物溶出的原生質與之前因膜過濾而斷裂的基團的產物。值得注意的是不同鹽度環境下,MBR-2 中三峰的熒光強度均弱于MBR-1,同時,BCOR-MBR 組合工藝的出水TOC 濃度均低于對照MBR,即耦合的BCOR 可吸附部分復雜有機酸等大分子物質,從而降低了MBR-2 的膜污染速度。
1)在不同鹽度條件下,MBR-1、MBR-2 中SMP 的三維熒光光譜均包含3 個特征峰,分別為2 個代表類腐殖酸的特征峰和表征類溶解性微生物產物特征峰。兩系統的出水熒光光譜中除了包含以上3 個特征峰,在鹽度為30 g·L - 1 時MBR-2 系統出水中出現色氨酸類蛋白質的特征峰。
2)對照組MBR-1 在0 ~ 9 g·L - 1 的鹽度環境下,代表類腐殖酸物質的特征峰熒光強度隨鹽度的提高而顯著增強,在鹽度為9 ~ 30 g·L - 1 時,MBR-1 的3 個特征峰熒光強度都不同程度的減弱。MBR-2 系統只有在鹽度提高到9 ~ 18 g·L - 1 時,代表色氨酸的特征峰熒光強度增強明顯且類腐殖酸峰藍移,在此范圍之外的其他鹽度下熒光峰都沒有明顯變化。
3)對照組鹽度的提高使得微生物抗逆性增強,細胞內某些大分子蛋白等參與調滲作用的物質產出增多,而耦合了BCOR 的MBR-2 中懸浮顆粒和大分子有機物會先一步分解為小分子可溶物質,進而在某種程度上延緩了鹽度的沖擊。
4)不同鹽度條件下,BCOR-MBR 組合工藝的出水TOC 濃度均低于對照MBR,在MBR-2 中三峰的熒光強度均弱于MBR-1,說明生物氧化池吸附了部分復雜有機酸等大分子物質,從而降低了MBR-2 的膜污染速度。
5)將MBR 中SMP 與出水對比來看,經過膜過濾作用類腐殖酸物質與類溶解性微生物產物均有攔截,且對類腐殖酸物質的攔截明顯強于類溶解性微生物產物,在鹽度為9 ~ 18 g·L - 1 時,這種攔截作用尤為明顯。
廣東建樹環保科技有限公司是一家專業從事工業廢水處理、工業廢氣處理和環境修復的環保設備研發與銷售服務的企業。為工業企業和市政工程等項目提供工業廢水處理、工業廢氣處理、有機廢氣VOCs處理的一體化解決方案,從“工程設計”、“工程承包”、“設備采購”、“安裝調試”、“耗材銷售”、“運營管理”、“環評辦理”等環節提供專業的差異化服務,聯系電話:135 5665 1700。